Oostende
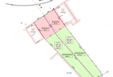
Print- Groot perceel: 297 m2
- Te verkavelen
- Residentiële ligging
LOT 1:
Ontdek deze unieke opportuniteit in de Steenovenstraat te Oostende: een royaal perceel bouwgrond van 596 m², mogelijks op te splitsen in twee kavels.
Gelegen in een aangename en rustige woonstraat in de wijk Konterdam/Stene, biedt deze locatie een ideale combinatie van lokale charme en een warme, residentiële sfeer.
De percelen kunnen zowel afzonderlijk als samen aangekocht worden, wat extra flexibiliteit biedt voor uiteenlopende projecten.
Dit ruime stuk bouwgrond leent zich perfect voor de realisatie van een grote gezinswoning of een kleinschalig project. Dankzij de ligging geniet u van maximale vrijheid om uw woon- of investeringsplannen vorm te geven.
Een uitstekende opportuniteit voor gezinnen én projectontwikkelaars die op zoek zijn naar ruimte, comfort en toekomstgerichte mogelijkheden.
Mobiscore 8,8/10
Alle informatie via Immo De Beus 059 510 300










