Oostende
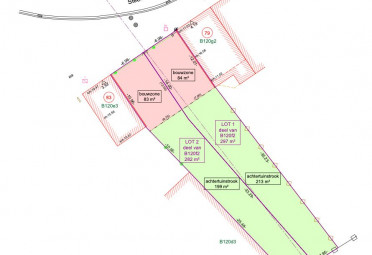
Print- Perceelsgroote van 282 m2
- Residentiële ligging
- Nabij invalswegen
LOT 2:
Ontdek deze unieke opportuniteit in de Steenovenstraat te Oostende: een ruim perceel bouwgrond van 282 m².
Gelegen in een aangename en rustige woonstraat in de wijk Konterdam/Stene, biedt deze locatie een ideale combinatie van lokale charme en een warme, residentiële sfeer.
Dit royale stuk bouwgrond leent zich perfect voor de realisatie van een grote gezinswoning of een kleinschalig project. Dankzij de ligging geniet u van maximale vrijheid om uw woon- of investeringsplannen vorm te geven.
Een uitstekende opportuniteit voor gezinnen én projectontwikkelaars die op zoek zijn naar ruimte, comfort en toekomstgerichte mogelijkheden.
Mobiscore 8,8/10
Alle informatie via Immo De Beus 059 510 300













